| 価格 |
90万円 | 交通 | 飯田線 「駒ケ根」駅 徒歩6分 |
|---|---|---|---|
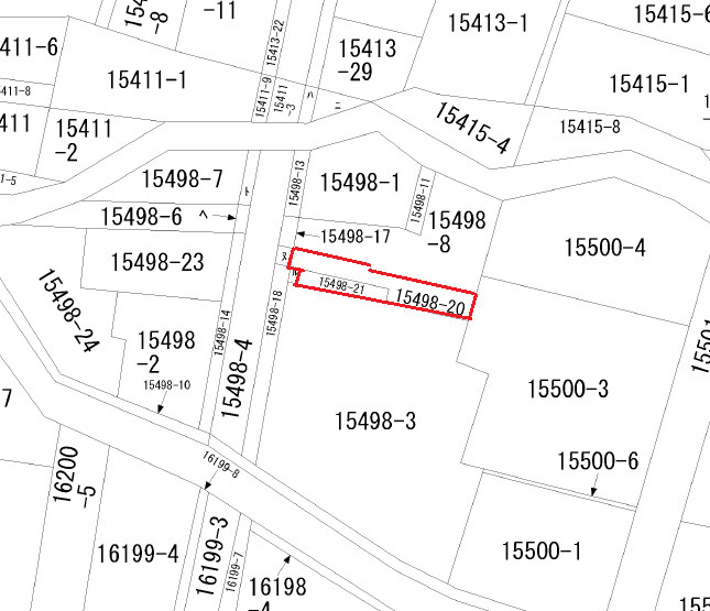
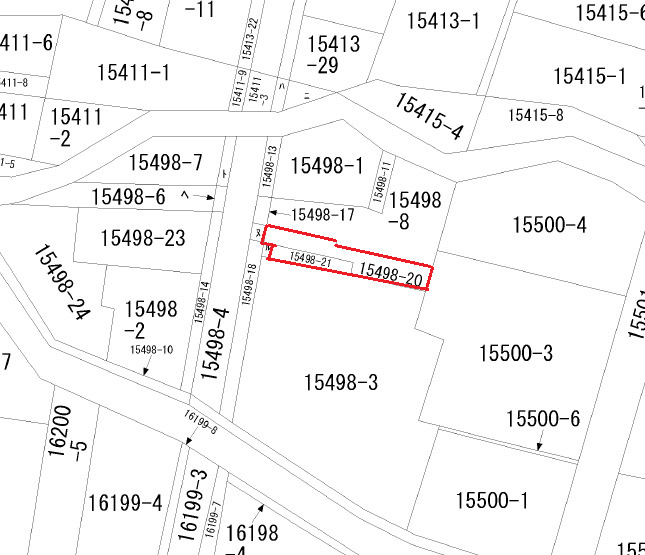
| 土地面積/坪数 | 62.14㎡ / 18.79坪 | 所在地 | 長野県駒ヶ根市赤須町 2-15 |
| 建ぺい率 | 60% | 容積率 | 200% |
売地
| 価格 |
90万円 | 交通 | 飯田線 「駒ケ根」駅 徒歩6分 |
|---|---|---|---|
| 土地面積/坪数 | 62.14㎡ / 18.79坪 | 所在地 | 長野県駒ヶ根市赤須町 2-15 |
| 建ぺい率 | 60% | 容積率 | 200% |
「利回り」は、当該不動産の1年間の予定賃料収入の不動産取得対価に対する割合であり、公租公課その他当該物件を維持するために必要な費用の控除前のものです。
また、予定賃料収入が確実に得られる事を保証するものではありません。

駅から徒歩6分圏内に立地しています。駐車場として確保したい方におすすめです。90万円のこちらの土地はいかがでしょうか。不動産探しをサポートいたします。不動産に関してどのようなことでも疑問や不安があれば、ぜひお気軽にお問い合わせください。
※地図上の物件位置は近隣に物件が所在することを表すものであり、実際の物件所在地とは異なる場合がございます。
0265-98-9124
営業時間:8:30~17:30 / 定休日:月曜日
| 所在地 | 長野県駒ヶ根市赤須町 2-15 | ||
|---|---|---|---|
| 交通 | 飯田線 「駒ケ根」駅 徒歩6分 | ||
| 価格 | 90万円 | 坪単価 | 4.79万円 |
| 土地面積 | 62.14㎡ | 建築条件 | 無 |
| 土地権利 | 所有権 | 建ぺい率/容積率 | 60%/ 200% |
| 私道負担面積 | セットバック | ||
| 接道状況 | 一方 (西側 公道5.8m) | ||
| 地目 | 宅地 | 地勢 | |
| 土地の権利形態 | 開発面積 | ||
| 都市計画 | 非線引区域 | 用途地域 | 第一種住居地域 |
| その他法令上の制限 | 景観法 | ||
| 国土法届出 | 不要 | 取引態様 | 専任媒介 |
| 現況 | 更地 | 引渡し | 相談 |
| 設備条件 | |||
| その他条件 | |||
| 備考 |
・所有権移転登記、不動産取得費用:買主負担 ・受益者負担金:買主負担(㎡960円) ・施設負担金:買主負担(55,000円) ・土石流危険渓流地域 ・洪水水浸想定区域 |
||
| 周辺の学校 | |||
| 物件番号 | 99666187 | ||
| 情報公開日 | 2026年1月13日 | 次回更新予定日 | 2026年1月27日 |
| 取引条件の有効期限 | 2026年1月27日 | ||
| 取扱い会社 |
NCCエステート株式会社 〒399-4431 長野県伊那市西春近2333-1 長野県知事(1)第5977号 |
||
0265-98-9124
営業時間:8:30~17:30 / 定休日:月曜日
| 所在地 | 物件の住所を表示。(詳細住所は表示していない場合もある) | ||
|---|---|---|---|
| 交通 | 物件(部屋)の沿線駅・バス停を表示。(複数駅・バス停の利用が可能な場合は最大3件まで) | ||
| 間取り/詳細 | 数字は居室数を表示。LDKはそれぞれ「リビング」「ダイニング」「キッチン」、S(納戸)とは「納戸」「サービスルーム」「マルチルーム」「フリールーム」など建築基準法第28条に適合していないため、居室と認められない納戸その他の部分を表す。 | ||
| 価格 | 販売されている住戸の価格を表示。仲介手数料は含まない。 | ||
| 管理費 | 共同住宅の設備その他共用部分の維持および管理をするために必要な費用を表示。 | ||
| 修繕積立金 | 共用部分の修繕のために積立てる金額を表示。 | ||

【外観】