| 価格 |
480万円 | 交通 | 飯田線 「田畑」駅 徒歩21分 |
|---|---|---|---|
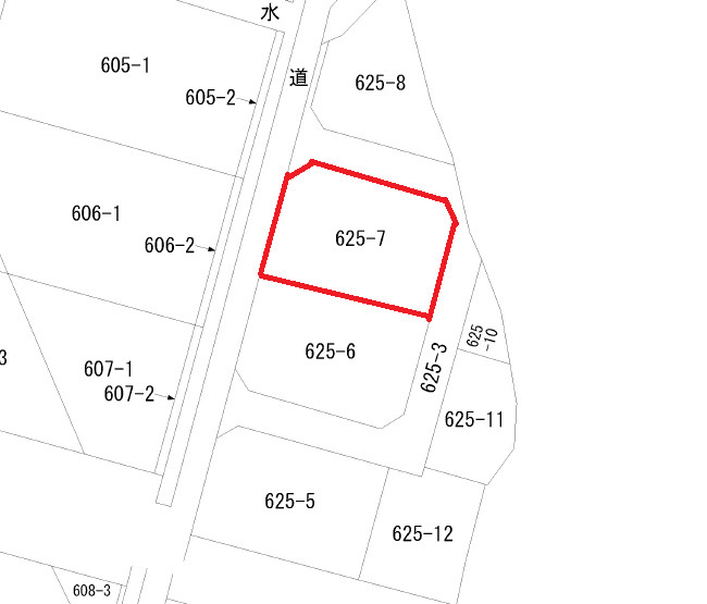
| 土地面積/坪数 | 281.76㎡ / 85.23坪 | 所在地 | 長野県伊那市福島 625-7 |
| 建ぺい率 | 60% | 容積率 | 200% |
売地
| 価格 |
480万円 | 交通 | 飯田線 「田畑」駅 徒歩21分 |
|---|---|---|---|
| 土地面積/坪数 | 281.76㎡ / 85.23坪 | 所在地 | 長野県伊那市福島 625-7 |
| 建ぺい率 | 60% | 容積率 | 200% |
「利回り」は、当該不動産の1年間の予定賃料収入の不動産取得対価に対する割合であり、公租公課その他当該物件を維持するために必要な費用の控除前のものです。
また、予定賃料収入が確実に得られる事を保証するものではありません。

家を建てたい方におすすめな土地です。伊那市エリアで住まいをお探しなら「伊那市福島625-7 土地」。この土地の価格は480万円です。伊那バイパス近くにある交通網の良い立地です。周辺に商業施設もございます(スーパー、薬局等)。物件について気になる点ございましたら、お気軽に当社スタッフまでお問い合わせください。
※地図上の物件位置は近隣に物件が所在することを表すものであり、実際の物件所在地とは異なる場合がございます。
0265-98-9124
営業時間:8:30~17:30 / 定休日:月曜日
| 所在地 | 長野県伊那市福島 625-7 | ||
|---|---|---|---|
| 交通 | 飯田線 「田畑」駅 徒歩21分 | ||
| 価格 | 480万円 | 坪単価 | 5.63万円 |
| 土地面積 | 281.76㎡ | 建築条件 | 有 |
| 土地権利 | 所有権 | 建ぺい率/容積率 | 60%/ 200% |
| 私道負担面積 | セットバック | ||
| 接道状況 | 角地 (北側 公道4.0m 間口20.0m) (西側 公道4.8m 間口14.0m) | ||
| 地目 | 宅地 | 地勢 | |
| 土地の権利形態 | 開発面積 | ||
| 都市計画 | 非線引区域 | 用途地域 | 指定なし |
| その他法令上の制限 | 景観法 | ||
| 国土法届出 | 不要 | 取引態様 | 仲介 |
| 現況 | 更地 | 引渡し | 相談 |
| 設備条件 | |||
| その他条件 | |||
| 備考 |
・上水道敷地内引き込み有。 ・所有権移転登記、不動産取得費用:買主負担 ・上水道加入金:73,700円(買主負担) ・下水道受益者負担金:170,000円(概算)(買主負担) |
||
| 周辺の学校 | 伊那市立東部中学校(約4,104m / 徒歩52分) | ||
| 物件番号 | 100957234 | ||
| 情報公開日 | 2026年4月21日 | 次回更新予定日 | 2026年5月5日 |
| 取引条件の有効期限 | 2026年5月5日 | ||
| 取扱い会社 |
NCCエステート株式会社 〒399-4431 長野県伊那市西春近2333-1 長野県知事(1)第5977号 |
||
0265-98-9124
営業時間:8:30~17:30 / 定休日:月曜日
| 所在地 | 物件の住所を表示。(詳細住所は表示していない場合もある) | ||
|---|---|---|---|
| 交通 | 物件(部屋)の沿線駅・バス停を表示。(複数駅・バス停の利用が可能な場合は最大3件まで) | ||
| 間取り/詳細 | 数字は居室数を表示。LDKはそれぞれ「リビング」「ダイニング」「キッチン」、S(納戸)とは「納戸」「サービスルーム」「マルチルーム」「フリールーム」など建築基準法第28条に適合していないため、居室と認められない納戸その他の部分を表す。 | ||
| 価格 | 販売されている住戸の価格を表示。仲介手数料は含まない。 | ||
| 管理費 | 共同住宅の設備その他共用部分の維持および管理をするために必要な費用を表示。 | ||
| 修繕積立金 | 共用部分の修繕のために積立てる金額を表示。 | ||

売地
| 価格 | 850 万円 | ||
|---|---|---|---|
| 土地面積 | 503.00㎡ | 建築条件 | |
| 土地坪数 | 152.15坪 | 坪単価 | 5.59万円 |
| 建ぺい率 | 60% | 容積率 | 200% |
| 住所 | 長野県伊那市日影5712-2 | ||
| 交通 |
飯田線「伊那北」駅 徒歩32分 飯田線「伊那市」駅 徒歩34分
|
||
底地権
| 価格 | 668 万円 | ||
|---|---|---|---|
| 土地面積 | 368.12㎡ | 建築条件 | |
| 土地坪数 | 111.35坪 | 坪単価 | 6万円 |
| 建ぺい率 | 60% | 容積率 | 200% |
| 住所 | 長野県伊那市上牧8436-12 | ||
| 交通 |
|
||
【外観】